Всё о строительстве, отделке и ремонте домов и квартир. Форум, блоги, чат. Дом СоветовЪ.

Всё о строительстве, отделке и ремонте домов и квартир. Форум, блоги, чат. Дом СоветовЪ. (http://www.domsovetov.by/forum.php)
-   Стены (http://www.domsovetov.by/forumdisplay.php?f=28)
-   -   несущая стена (http://www.domsovetov.by/showthread.php?t=4710)

aleksei 18.07.2012 19:39

несущая стена
 
Всем доброго дня.Вопрос знатокам-дом 10х10 с монсардой посередине несущая стена :так вот можно ли делать стену шириной в 25 см или всетаки маловата (перекрытие деревянные балки) по периметру первого этажа будет армопояс (15 или 20см ?) :bu:

Pavel_GGS 18.07.2012 20:37

в 25см кирпича нормально для внутренней.
а этажей то сколько?

aleksei 18.07.2012 22:40

один и плюс монсарда.кирпич? а если ГСБ или не покатит?

sansan 17.04.2013 00:58

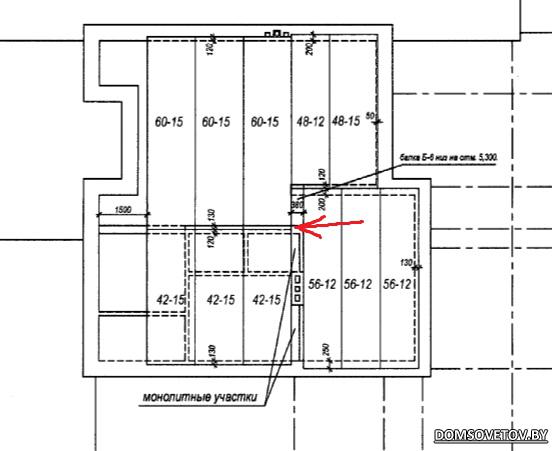
Не стал заводить новую тему, вопрос по устойчивости несущей стены из полнотелого кирпича. Толщина стенки 25 см (кирпич) На фото показан её фрагмент, на отметке 2550, выше стенка поднимается ещё на 3000 мм и на отметке 5300 на неё с двух сторон опираются перекрытия 6 штук. Выше на эти перекрытия будет частично и стенку будет передаваться частичная нагрузка от черепичной (ЦПЧ) кровли. Это нормально в проекте закладывать такую стенку не 380, а 250 мм? Сейчас фото прикреплю.

http://www.domsovetov.by/picture.php...pictureid=6995

http://www.domsovetov.by/picture.php...pictureid=6994

sansan 17.04.2013 01:07

Вложений: 2
Над гостинной там второй свет, перекрытий там больше нет, только площадка -мостик по периметру.

lexarum 17.04.2013 11:30

Для пролетов свыше примерно 3-х метров, если тяжелые перекрытия (плиты, монолит) - несущая в один кирпич мала.

Можете скачать пособие. Там все формулы.

http://www.gosthelp.ru/text/Posobiek...81Posobie.html

А вот програмки я не нашел. Разве что к автокаду есть примочки с расчетами.

Pavel_GGS 18.04.2013 09:37

нет такого свяязанного с пролетностью плит для средней стены. для стены величина пролета это просто грузовая площадь.
средняя кирпичная стена в 250мм несет смело на метр погонный тонн 20 не меньше. проблемка в том что сплошная стена похерячена проемами. вот сдесь самый глвный вопрос

sansan 18.04.2013 10:13

Угу, ещё и "на дурака" нужно рассчитывать такие вещи. Ведь не факт ещё, что сложат её строго вертикально и раствор приготовят нормальный и т.д... да газ в конце концов рвануть может, или землю треханёт или мало ли ещё что... не нравится мне когда "на грани" сделано... или это не такой случай?

Юра Добриденев 18.04.2013 10:32

Цитата:

Сообщение от sansan (Сообщение 138771)
Над гостинной там второй свет, перекрытий там больше нет, только площадка -мостик по периметру.

При таких проемах и 2х уравнях плит, лучше бы там был смачный армопояс высотой от 200мм, даже 250 и хорошо проармированный. А лучше в обоих уровнях, т.е. и под первые плиты и под вторые. Пусть сделают хотя бы на втором уровне. А если плиты только на 1м уровне, то и так должно прокатить, по идее.

sansan 18.04.2013 17:00

Да, там 2 уровня и второй, там где полные 2 этажа, перекрывается плитами (картина выше). А первый перекрыт частично (второй свет над гостиной). Внешние стены, точнее для данных перекрытий внешний контур, т.к. эти стенки получаются внутри ГСБ 500 мм, впринципе и без поясов никуда бы не делось, но вот внутренняя несущая всего лишь 250 мм кирпичная.


Текущее время: 22:42. Часовой пояс GMT +3.

Powered by vBulletin® Version 3.8.8
Copyright ©2000 - 2025, vBulletin Solutions, Inc. Перевод: zCarot
Webmaster: OldEr
Реклама у нас
При публикации материалов с нашего сайта гиперссылка на Дом СоветовЪ обязательна